Grond te koop in Tongeren
€ 125.000
Is dit haalbaar voor jou?Omschrijving
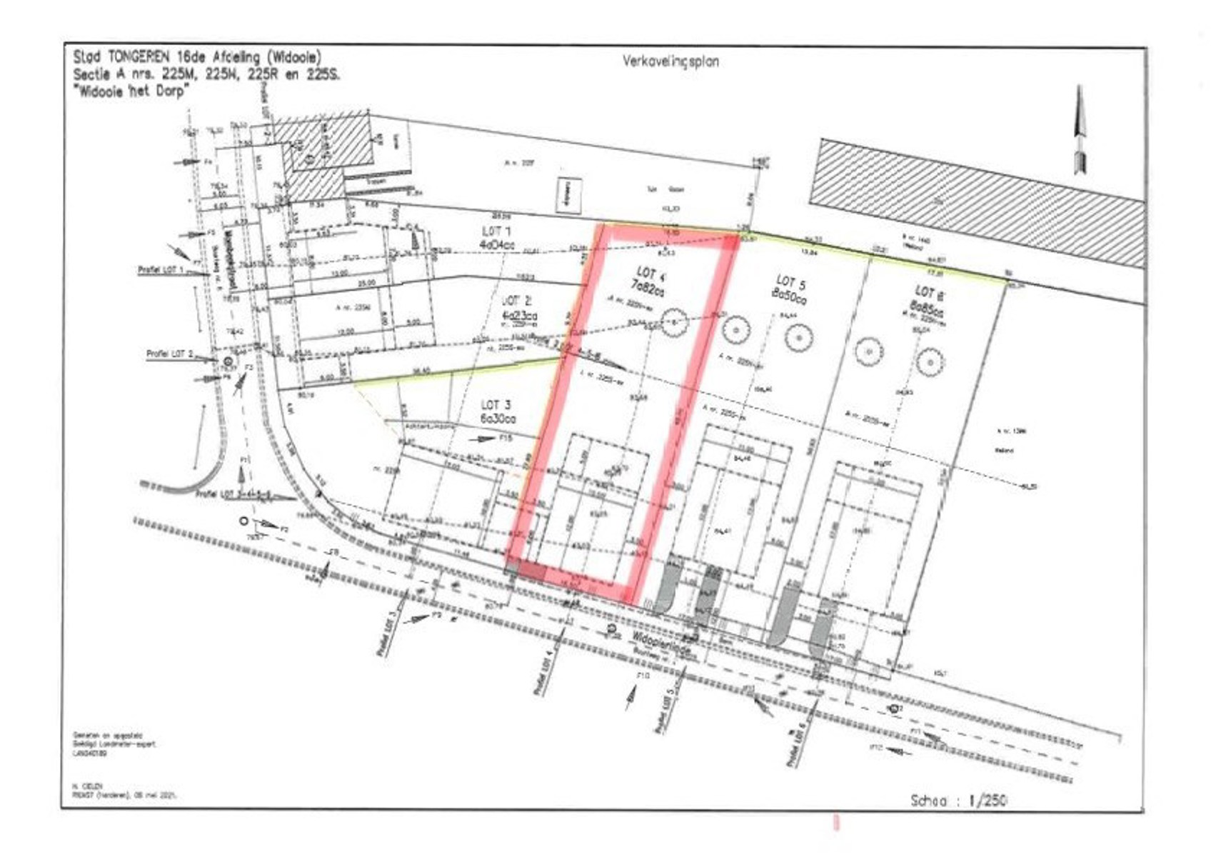
Ruim perceel van 782m² te koop in Widooie (Tongeren) , ideaal voor open bebouwing met noordelijke tuinoriëntatie
In het pittoreske Widooie ligt een prachtig perceel van782m² voor een open bebouwing. De bouwgrond , is ideaal voor wie op zoek is naar een ruime tuin en voldoende privacy. Met een perceeloppervlakte van 782 m² er genoeg ruimte om een prachtige tuin aan te leggen en eventueel een tuinhuis te plaatsen. De ligging nabijTongeren is ook een groot pluspunt. Tongeren is een gezellige stad met een rijke geschiedenis en een bruisend centrum. Dit is een unieke kans om een stukje paradijs te creëren in een van de mooiste delen van Limburg.
Financieel
Verkoop onder btw-stelsel
Nee
Kadasteroppervlakte
7 m²
Gebouw
Type pand
Grond
Subtype
Bouwgrond
Terrein
Perceeloppervlakte
782 m²
Meest recente bestemming terrein
Woongebied met landelijk karakter
Ruimtelijke ordening
Dagvaarding
Geen rechterlijke herstelmaatregel of bestuurlijke maatregel opgelegd
Bouwvergunning
Ja
Verkavelingsvergunning
Ja
Locatie
Widooierlinde 3 Lot 4, 3700 Tongeren125.000 EUR
Locatie
Widooierlinde 3 Lot 4
3700 Tongeren














