Grond te koop in Tongeren
€ 105.000
Is dit haalbaar voor jou?Omschrijving
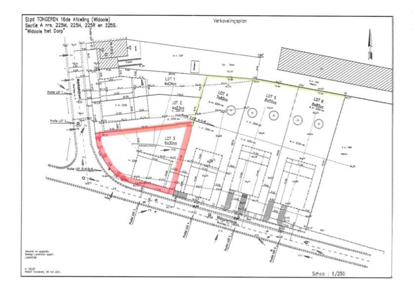
Ruim perceel met open bebouwing in Widooie (Tongeren) ideaal voor natuurliefhebbers - 630m² grond, tuin op het noordwesten
In het pittoreske Widooie ligt een prachtig perceel van 630m² voor een open bebouwing en een tuin die is georiënteerd op het noordwesten. Deze grond biedt de perfecte mogelijkheid om je droomhuis te bouwen in een rustige en groene omgeving. De ligging van deze grond is ideaal voor wie op zoek is naar rust en natuur, maar toch ook de nabijheid van voorzieningen en stedelijke faciliteiten wil hebben. Dit is een unieke kans om een stukje paradijs te creëren in een van de mooiste delen van Limburg.
Financieel
Verkoop onder btw-stelsel
Nee
Kadasteroppervlakte
6 m²
Gebouw
Type pand
Grond
Subtype
Bouwgrond
Terrein
Perceeloppervlakte
630 m²
Meest recente bestemming terrein
Woongebied met landelijk karakter
Ruimtelijke ordening
Dagvaarding
Geen rechterlijke herstelmaatregel of bestuurlijke maatregel opgelegd
Verkavelingsvergunning
Ja
Voorkooprecht
Nee
Locatie
Widooierlinde 1 Lot 3, 3700 Tongeren105.000 EUR
Locatie
Widooierlinde 1 Lot 3
3700 Tongeren















