Grond te koop in Tongeren

423
Omschrijving

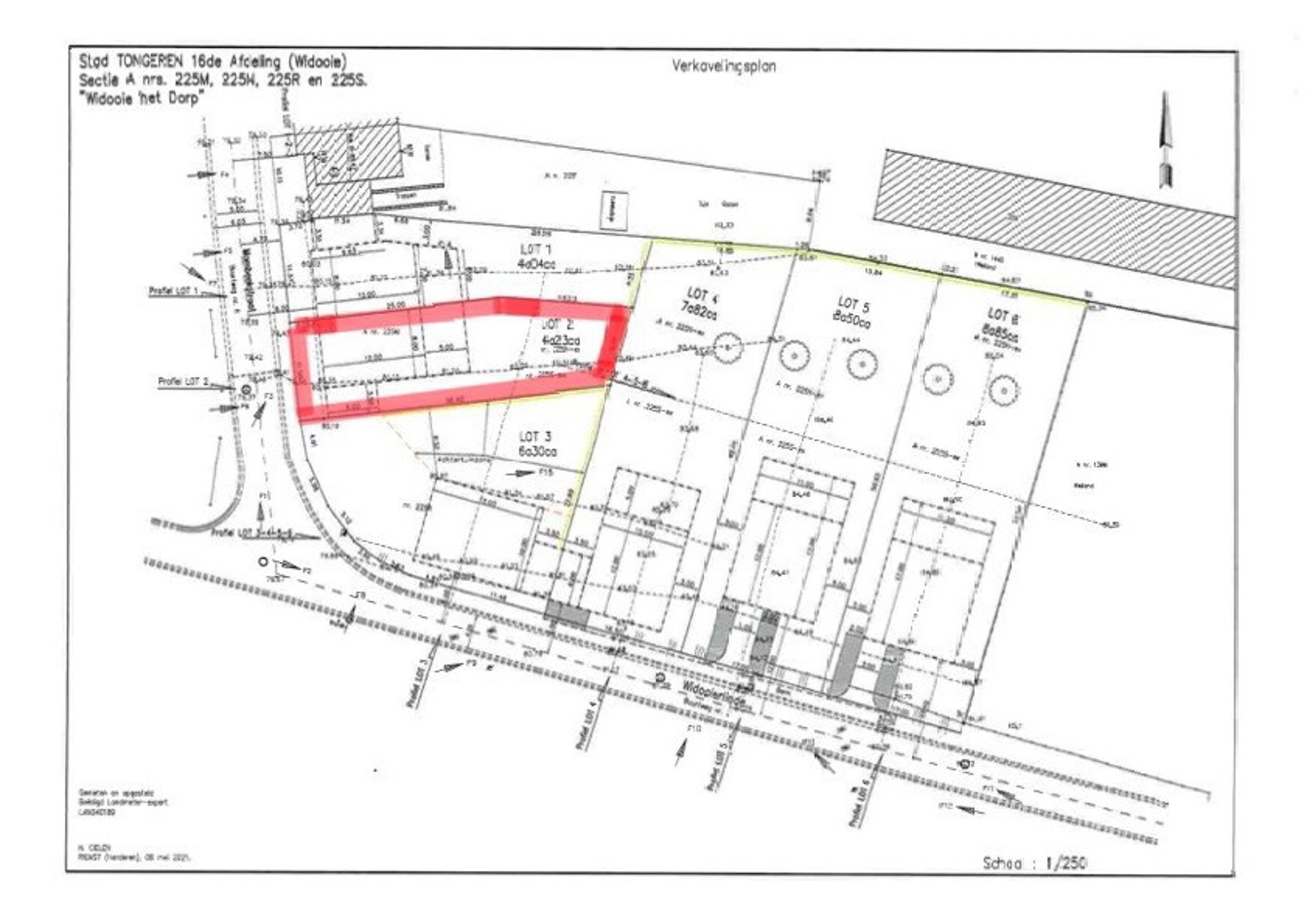
Bouwgrond van 423 m² voor half open bebouwing met grote tuin in Widooie (Tongeren ) met oostelijke oriëntatie

In het pittoreske Widooie ligt een prachtig perceel van423m² voor een half-open bebouwing. De bouwgrond is ideaal voor wie op zoek is naar een leuke tuin en voldoende privacy. De ligging nabij Tongeren is ook een groot pluspunt. Tongeren is een gezellige stad met een rijke geschiedenis en een bruisend centrum. Dit is een unieke kans om een stukje paradijs te creëren in een van de mooiste delen van Limburg.

Financieel

Verkoop onder btw-stelsel
Nee
Kadasteroppervlakte
4 m²

Gebouw

Type pand
Grond
Subtype
Bouwgrond

Terrein

Perceeloppervlakte
423 m²
Meest recente bestemming terrein
Woongebied met landelijk karakter

Ruimtelijke ordening

Dagvaarding
Geen rechterlijke herstelmaatregel of bestuurlijke maatregel opgelegd
Bouwvergunning
Ja
Verkavelingsvergunning
Ja

Locatie

Widooierlinde, 3700 Tongeren

Is dit haalbaar voor jou?

Minimale eigen inbreng
-EUR
Maandlast
-EUR/maand
Rentevoet
- %
JKP
- %
Totale kredietbedrag
- EUR
Totale kredietlast
- EUR

Liever een voorstel op maat?

Vertel meer over je project en je persoonlijke situatie en KBC berekent je persoonlijke rentevoet. Je ontvangt onmiddellijk feedback of je lening haalbaar is en je kunt je aanvraag volledig digitaal afronden. Zelfs als je geen KBC-klant bent.

Wat gebeurt er met je gegevens?

Wij helpen je op deze website bij het inschatten en aanvragen van een lening bij KBC Bank en verwerken daarbij je persoonsgegevens voor KBC Bank. Door op bovenstaande knop te klikken ga je er daarnaast mee akkoord dat wij jouw e-mailadres of andere elektronische identificatoren aan KBC doorgeven om onze samenwerking op te volgen. Meer informatie over deze verwerking kan je terugvinden in onze privacy policy.

Representatief voorbeeld

Voor een hypothecair krediet met een onroerende bestemming van 170.000 euro, volledig gewaarborgd door een hypothecaire inschrijving, met een looptijd van 240 maanden aan een vaste debetrentevoet van 5,23% en een jaarlijks kostenpercentage van 5,58%, betaal je 240 maandelijkse aflossingen van 1.132,13 euro, een dossierkost van 350 euro, 4.324,39 euro notariskosten en een totaal te betalen bedrag van 276.385,48 euro.

Ook interessant voor jou

Bekijk gelijkaardige panden