Grond te koop in Tongeren
€ 142.000
Is dit haalbaar voor jou?Omschrijving
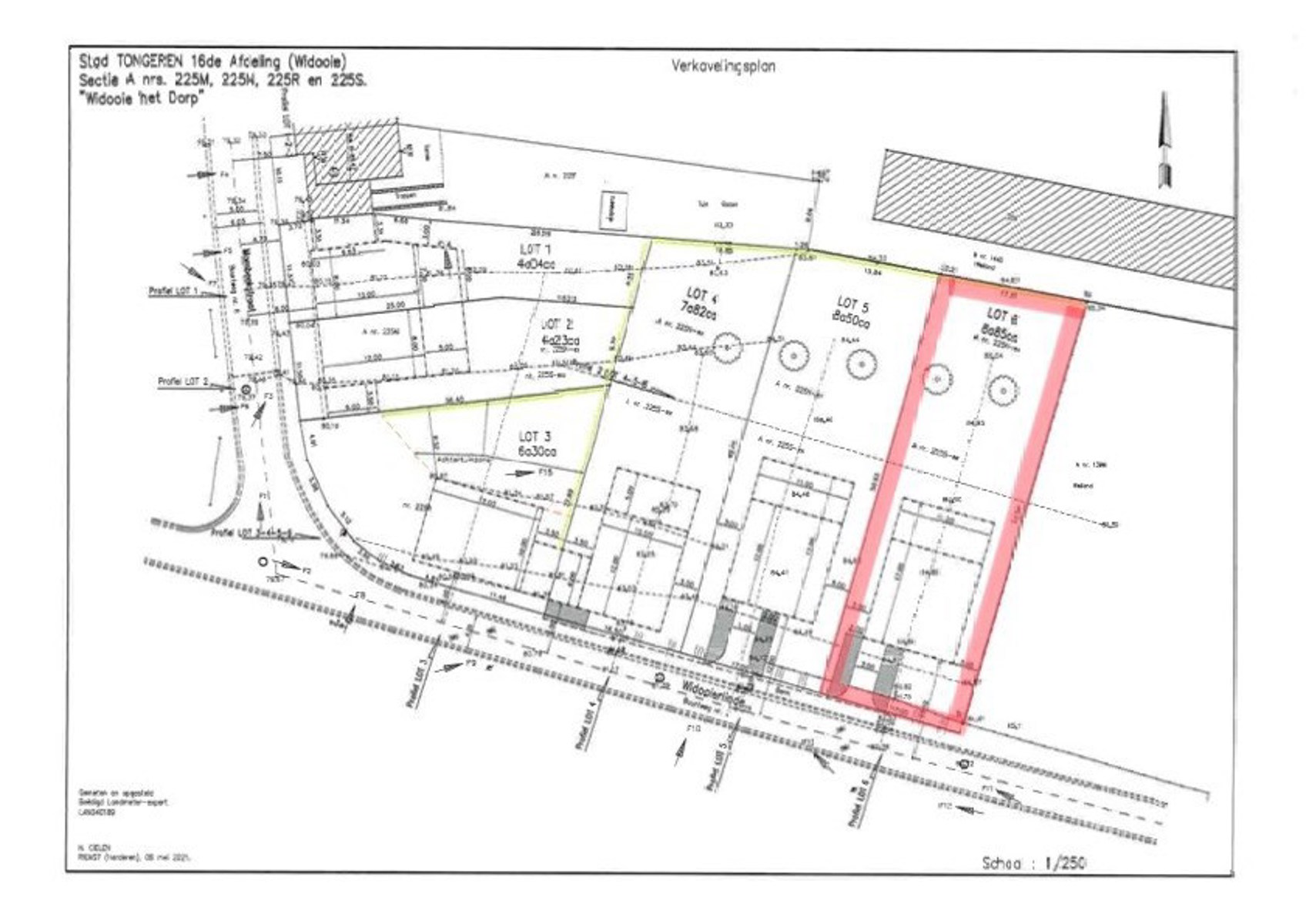
Ruim perceel van voor 885m² open bebouwing in Widooie (Tongeren), perfect voor natuurliefhebbers!
In het pittoreske Widooie ligt een prachtig perceel van 885m² voor een open bebouwing. De bouwgrond , is ideaal voor wie op zoek is naar een ruime tuin en voldoende privacy. Met een perceeloppervlakte van 885m² er genoeg ruimte om een prachtige tuin aan te leggen en eventueel een tuinhuis te plaatsen. De ligging nabijTongeren is ook een groot pluspunt. Tongeren is een gezellige stad met een rijke geschiedenis en een bruisend centrum. Dit is een unieke kans om een stukje paradijs te creëren in een van de mooiste delen van Limburg.
Financieel
Kadasteroppervlakte
8 m²
Gebouw
Type pand
Grond
Subtype
Bouwgrond
Terrein
Perceeloppervlakte
885 m²
Meest recente bestemming terrein
Woongebied met landelijk karakter
Ruimtelijke ordening
Dagvaarding
Geen rechterlijke herstelmaatregel of bestuurlijke maatregel opgelegd
Verkavelingsvergunning
Ja
Voorkooprecht
Nee
Locatie
Widooierlinde 7 Lot 6, 3700 Tongeren142.000 EUR
Locatie
Widooierlinde 7 Lot 6
3700 Tongeren














