Grond te koop in Bree
€ 158.000
Is dit haalbaar voor jou?Omschrijving
RUSTIG GELEGEN BOUWGROND MET VEEL MOGELIJKHEDEN OP 6a75ca.
BOUWGROND VOOR OPEN BEBOUWING OP EEN PERCEEL VAN 6a75ca.
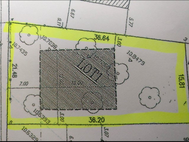
Deze bouwgrond gelegen te Bree met een oppervlakte van 6a75ca is gelegen in een zeer rustige straat nabij het groen op een perceel met een breedte van 21,48m. De Rooierhagen is een zijstraat langs de verbindingsweg tussen Gruitrode en Bree. Winkels, scholen en openbaar vervoer in de nabije omgeving aanwezig.
Zeer soepele bouwvoorschriften:
- Perceelbreedte: 21,48m;
- Bouwdiepte: op het gelijkvloers maximaal 15m - op verdieping maximaal 12m (rekeninghoudend met een tuinzone van min. 10m)
- Bouwbreedte: minimum 6m, rekeninghoudend met de perceelgrenzen zoals op plan;
- Bouwhoogte: maximaal 2 bouwlagen met een maximale nokhoogte van 11m;
- Dakhelling: hellend dak met een helling van maximaal 45° (Kroonlijsthoogte max. 6m).
Mogelijkheid tot bijbouwen van een bijgebouw (bergplaats, tuinhuis, poolhouse, garage, carport,...). De bouwgrond leent zich ideaal voor een mooie open bebouwing met een grote bewoonbare oppervlakte in een zeer rustige omgeving.
Ben je op zoek naar een grond voor open bebouwing aarzel niet ons te contacteren op 011 39 90 50 of info@jansenrealestate.be
Wij ontzorgen je ook voor de verkoop van je huidige woning! Voor meer uitleg helpen we je graag verder.
Deze bouwgrond gelegen te Bree met een oppervlakte van 6a75ca is gelegen in een zeer rustige straat nabij het groen op een perceel met een breedte van 21,48m. De Rooierhagen is een zijstraat langs de verbindingsweg tussen Gruitrode en Bree. Winkels, scholen en openbaar vervoer in de nabije omgeving aanwezig.
Zeer soepele bouwvoorschriften:
- Perceelbreedte: 21,48m;
- Bouwdiepte: op het gelijkvloers maximaal 15m - op verdieping maximaal 12m (rekeninghoudend met een tuinzone van min. 10m)
- Bouwbreedte: minimum 6m, rekeninghoudend met de perceelgrenzen zoals op plan;
- Bouwhoogte: maximaal 2 bouwlagen met een maximale nokhoogte van 11m;
- Dakhelling: hellend dak met een helling van maximaal 45° (Kroonlijsthoogte max. 6m).
Mogelijkheid tot bijbouwen van een bijgebouw (bergplaats, tuinhuis, poolhouse, garage, carport,...). De bouwgrond leent zich ideaal voor een mooie open bebouwing met een grote bewoonbare oppervlakte in een zeer rustige omgeving.
Ben je op zoek naar een grond voor open bebouwing aarzel niet ons te contacteren op 011 39 90 50 of info@jansenrealestate.be
Wij ontzorgen je ook voor de verkoop van je huidige woning! Voor meer uitleg helpen we je graag verder.
Financieel
Kadasteroppervlakte
6 m²
Gebouw
Type pand
Grond
Subtype
Bouwgrond
Terrein
Perceeloppervlakte
675 m²
Meest recente bestemming terrein
Woongebied met landelijk karakter
Diepte perceel
36,5 m
Ruimtelijke ordening
Vonnissen
Nee
Bouwvergunning
Nee
Verkavelingsvergunning
Ja
Locatie
Rooierhagen, 3960 Bree158.000 EUR
Locatie
Rooierhagen
3960 Bree
Is dit haalbaar voor jou?
Minimale eigen inbreng
-EUR
Maandlast
-EUR/maand
Liever een voorstel op maat?
Vertel meer over je project en je persoonlijke situatie en KBC berekent je persoonlijke rentevoet. Je ontvangt onmiddellijk feedback of je lening haalbaar is en je kunt je aanvraag volledig digitaal afronden. Zelfs als je geen KBC-klant bent.













