Grond te koop in Bièvre
€ 85.000
Is dit haalbaar voor jou?Omschrijving
Terrain à batîr à - Bouwgrond te Bièvre
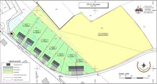
Schitterend gelegen goed geörienteerde bouwgrond. In het dorp Naomé, deelgemeente van Bièvre, tegen de grens met de provincie Luxemburg.
Verkaveling is vergund.
Bouwvergunning is mogelijk om 12 meter breed en 15 meter diep te bouwen.
Optioneel kan de achterliggende landbouwgrond (lot 8) worden aangekocht.
***
Terrain à bâtir superbement situé et bien orienté. Dans le village de Naomé, arrondissement de Bièvre, à la frontière avec la province de Luxembourg.
Le lotissement est autorisé.
Un permis de construire est possible pour une largeur de 12 mètres et une profondeur de 15 mètres.
Achat optionnel du terrain agricole derrière (lot 8).
Voor meer informatie / pour plus d'informations : Kristof 0484/84.84.86
Financieel
Kadastrale info
0272/FP
Gebouw
Type pand
Grond
Subtype
Grond
Terrein
Perceeloppervlakte
1.203 m²
Meest recente bestemming terrein
Woongebied
Breedte perceel
21,47 m
Energie
Keuringsattest elektriciteit
Nee
Ruimtelijke ordening
Kadastraal plan
Ja
Dagvaarding
Geen rechterlijke herstelmaatregel of bestuurlijke maatregel opgelegd
Bouwvergunning
Nee
Locatie
Rue du Roptay 16, 5555 Bièvre85.000 EUR
Locatie
Rue du Roptay 16
5555 Bièvre




