Grond te koop in Waregem
€ 165.000
Is dit haalbaar voor jou?Omschrijving
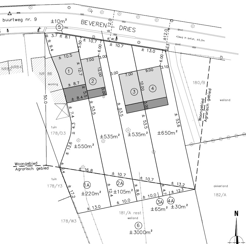
Bouwgrond (600 m²) 6% BTW in Beveren Leie
Bouwgrond voor een half open bebouwing op een perceel van 600m², gevelbreedte 7m.
Dit perceel wordt verkocht met bouwverplichting via de aannemer.
Bouwstijl naar keuze.
Er kan hier gebouwd worden aan 6 % BTW door sloop van de vorige hoeve.
Bouwdiepte gelijkvloers 15m - op het verdiep is er een bouwdiepte van 12m.
Grootste troef:
Dit perceel is gelegen op een toplocatie op een boogscheut van Waregem en centrum Beveren Leie.
En toch is het rustig gelegen.
Op vandaag staat hier nog een oude hoeve, deze zal afgebroken worden door de aannemer.
Achterliggend ligt er nog een perceel van 3000 m² agrarisch die eventueel kan bijgekocht worden, op dit perceel staan grote prachtige bomen die het zicht in de tuin bevorderen.
Heeft u interesse of vragen naar de bouwmogelijkheden, neem dan gerust contact op met ons kantoor.
Dit perceel wordt verkocht met bouwverplichting via de aannemer.
Bouwstijl naar keuze.
Er kan hier gebouwd worden aan 6 % BTW door sloop van de vorige hoeve.
Bouwdiepte gelijkvloers 15m - op het verdiep is er een bouwdiepte van 12m.
Grootste troef:
- Bouwen aan 6 % BTW
- Door de sloop van een oude hoeve kunnen we hier nu bouwen aan 6 % BTW
Dit perceel is gelegen op een toplocatie op een boogscheut van Waregem en centrum Beveren Leie.
En toch is het rustig gelegen.
Op vandaag staat hier nog een oude hoeve, deze zal afgebroken worden door de aannemer.
Achterliggend ligt er nog een perceel van 3000 m² agrarisch die eventueel kan bijgekocht worden, op dit perceel staan grote prachtige bomen die het zicht in de tuin bevorderen.
Heeft u interesse of vragen naar de bouwmogelijkheden, neem dan gerust contact op met ons kantoor.
Gebouw
Bewoonbare oppervlakte
189 m²
Type bebouwing
Halfopen
Terrein
Perceeloppervlakte
600 m²
Bebouwbare oppervlakte
105 m²
Meest recente bestemming terrein
Woongebied
Ruimtelijke ordening
G(ebouw)-score
A (geen overstroming gemodelleerd)
P(erceel)-score
A (geen overstroming gemodelleerd)
Overstromingsgevoelig gebied
Niet gelegen in een overstromingsgevoelig gebied
Locatie
Beveren Dries 88 lot 3, 8791 Waregem165.000 EUR
Locatie
Beveren Dries 88 lot 3
8791 Waregem
Is dit haalbaar voor jou?
Minimale eigen inbreng
-EUR
Maandlast
-EUR/maand
Liever een voorstel op maat?
Vertel meer over je project en je persoonlijke situatie en KBC berekent je persoonlijke rentevoet. Je ontvangt onmiddellijk feedback of je lening haalbaar is en je kunt je aanvraag volledig digitaal afronden. Zelfs als je geen KBC-klant bent.











