Grond te koop in Lochristi
€ 305.000
Is dit haalbaar voor jou?Omschrijving
Lichtelarestraat 23
Unieke kans: 2 bouwgronden te koop in Lochristi !
Bouw jouw droomwoning in de Lichtelarestraat 23, Lochristi !
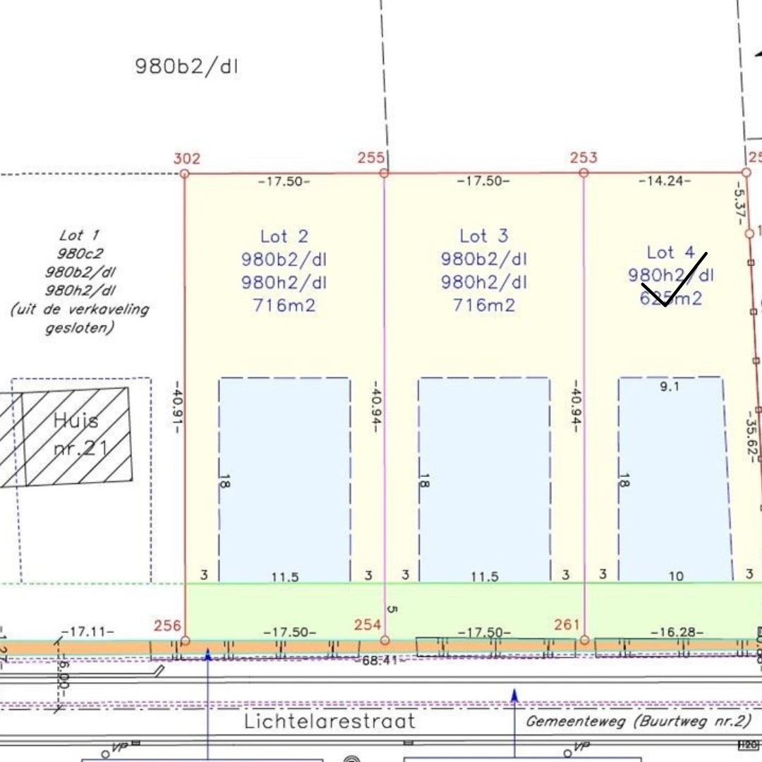
Dit perceel, opgedeeld in 3 loten voor open bebouwing, heeft nog twee bouwgronden beschikbaar van elk 716 m² (Lot 2 en Lot 3). Lot 1 is reeds verkocht.
Geniet van de gunstige ligging en volledige vrijheid om jouw woning te ontwerpen, als sleutel-op-de-deur of ruwbouw wind- en waterdicht, volledig afgestemd op jouw wensen en budget.
en ideale kans om te bouwen in een goed gelegen omgeving!
Neem vandaag nog contact op voor meer info of een bezoek ter plaatse !
Bouw jouw droomwoning in de Lichtelarestraat 23, Lochristi !
Dit perceel, opgedeeld in 3 loten voor open bebouwing, heeft nog twee bouwgronden beschikbaar van elk 716 m² (Lot 2 en Lot 3). Lot 1 is reeds verkocht.
Geniet van de gunstige ligging en volledige vrijheid om jouw woning te ontwerpen, als sleutel-op-de-deur of ruwbouw wind- en waterdicht, volledig afgestemd op jouw wensen en budget.
en ideale kans om te bouwen in een goed gelegen omgeving!
Neem vandaag nog contact op voor meer info of een bezoek ter plaatse !
Gebouw
Type pand
Grond
Subtype
Bouwgrond
Nieuw gebouw
Nee
Terrein
Perceeloppervlakte
716 m²
Breedte perceel
17,5 m
Diepte perceel
40,9 m
Indeling
Aantal slaapkamers
0
Aantal badkamers
0
Aantal toiletten
0
Comfort
Lift
Nee
Energie
E-peil
0
Locatie
Lichtelarestraat 23, 9080 LochristiIs dit haalbaar voor jou?
Minimale eigen inbreng
-EUR
Maandlast
-EUR/maand
Liever een voorstel op maat?
Vertel meer over je project en je persoonlijke situatie en KBC berekent je persoonlijke rentevoet. Je ontvangt onmiddellijk feedback of je lening haalbaar is en je kunt je aanvraag volledig digitaal afronden. Zelfs als je geen KBC-klant bent.















