Grond te koop in Moerbeke
€ 179.000
Is dit haalbaar voor jou?Omschrijving
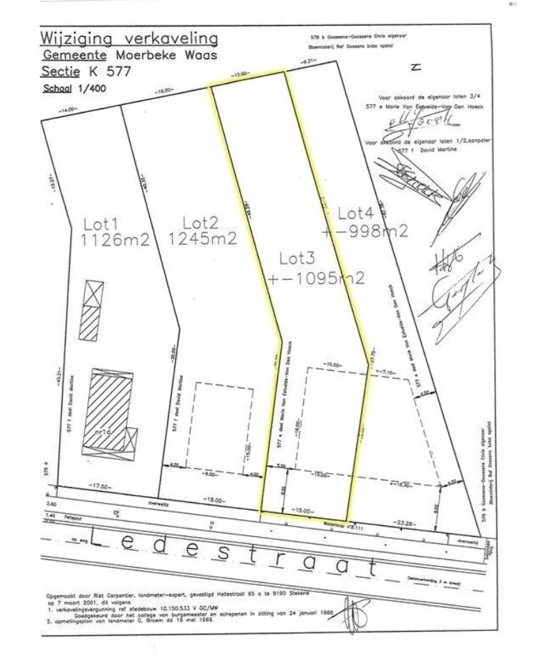
Bouwgrond van 1.129 m2 te koop!
In de Ledestraat in Moerbeke, op een boogscheut van het dorpscentrum, bevindt zich deze interessante bouwgrond van 1.129 m².
Het perceel ligt langs de toegangsweg naar Moerbeke en biedt een vlotte verbinding naar de E34, ideaal voor wie een goede mobiliteit wilt combineren met ruimte!
Met een perceelbreedte van 15 meter en een gevelbreedte van 10 meter, zijn er ruime bouwmogelijkheden. Er is een bouwdiepte tot 18 meter mogelijk voor het hoofdgebouw, en ook bijgebouwen of loodsen kunnen geïntegreerd worden dieper op het perceel. Perfect voor zelfstandigen, hobbyisten of wie extra opslagruimte nodig heeft.
EXTRA TROEF: Het aangrenzende perceel met bestaande woning staat eveneens te koop en is terug te vinden op onze website! Een unieke kans voor wie naast een nieuwe bouwgrond ook interesse heeft in een instapklare woning of mogelijkheden zoekt voor dubbele bewoning, kangoeroewonen of combinatie wonen/werken. Zulke opportuniteiten komen zelden op de markt.
Meer info of een bezoek? Stuur gerust een e-mail naar hallo@wijsvastgoed.be, dan bellen wij u op voor een WIJS bezoek !
Het perceel ligt langs de toegangsweg naar Moerbeke en biedt een vlotte verbinding naar de E34, ideaal voor wie een goede mobiliteit wilt combineren met ruimte!
Met een perceelbreedte van 15 meter en een gevelbreedte van 10 meter, zijn er ruime bouwmogelijkheden. Er is een bouwdiepte tot 18 meter mogelijk voor het hoofdgebouw, en ook bijgebouwen of loodsen kunnen geïntegreerd worden dieper op het perceel. Perfect voor zelfstandigen, hobbyisten of wie extra opslagruimte nodig heeft.
EXTRA TROEF: Het aangrenzende perceel met bestaande woning staat eveneens te koop en is terug te vinden op onze website! Een unieke kans voor wie naast een nieuwe bouwgrond ook interesse heeft in een instapklare woning of mogelijkheden zoekt voor dubbele bewoning, kangoeroewonen of combinatie wonen/werken. Zulke opportuniteiten komen zelden op de markt.
Meer info of een bezoek? Stuur gerust een e-mail naar hallo@wijsvastgoed.be, dan bellen wij u op voor een WIJS bezoek !
Financieel
Kadastraal inkomen
10 €
Kadastrale info
44045K0577/00G000
Beschikbaarheid
Vanaf akte
Gebouw
Type pand
Grond
Type bebouwing
Halfopen
Gevelbreedte straatkant
10 m
Terrein
Perceeloppervlakte
1.129 m²
Meest recente bestemming terrein
Landschappelijk waardevol agrarisch gebied
Oriëntatie tuin
Oost
Ligging
Autosnelweg nabij
Ja
School nabij
Ja
Winkels nabij
Ja
Comfort
Aansluiting elektriciteit
Ja
Aansluiting water
Ja
Ruimtelijke ordening
Dagvaarding
Geen rechterlijke herstelmaatregel of bestuurlijke maatregel opgelegd
Bouwvergunning
Nee
Verkavelingsvergunning
Ja
Locatie
Ledestraat 1 C, 9180 MoerbekeIs dit haalbaar voor jou?
Minimale eigen inbreng
-EUR
Maandlast
-EUR/maand
Liever een voorstel op maat?
Vertel meer over je project en je persoonlijke situatie en KBC berekent je persoonlijke rentevoet. Je ontvangt onmiddellijk feedback of je lening haalbaar is en je kunt je aanvraag volledig digitaal afronden. Zelfs als je geen KBC-klant bent.




