Grond te koop in Lebbeke
€ 157.000
Is dit haalbaar voor jou?Omschrijving
bouwgrond
Bouwgrond met landelijk uitzicht !
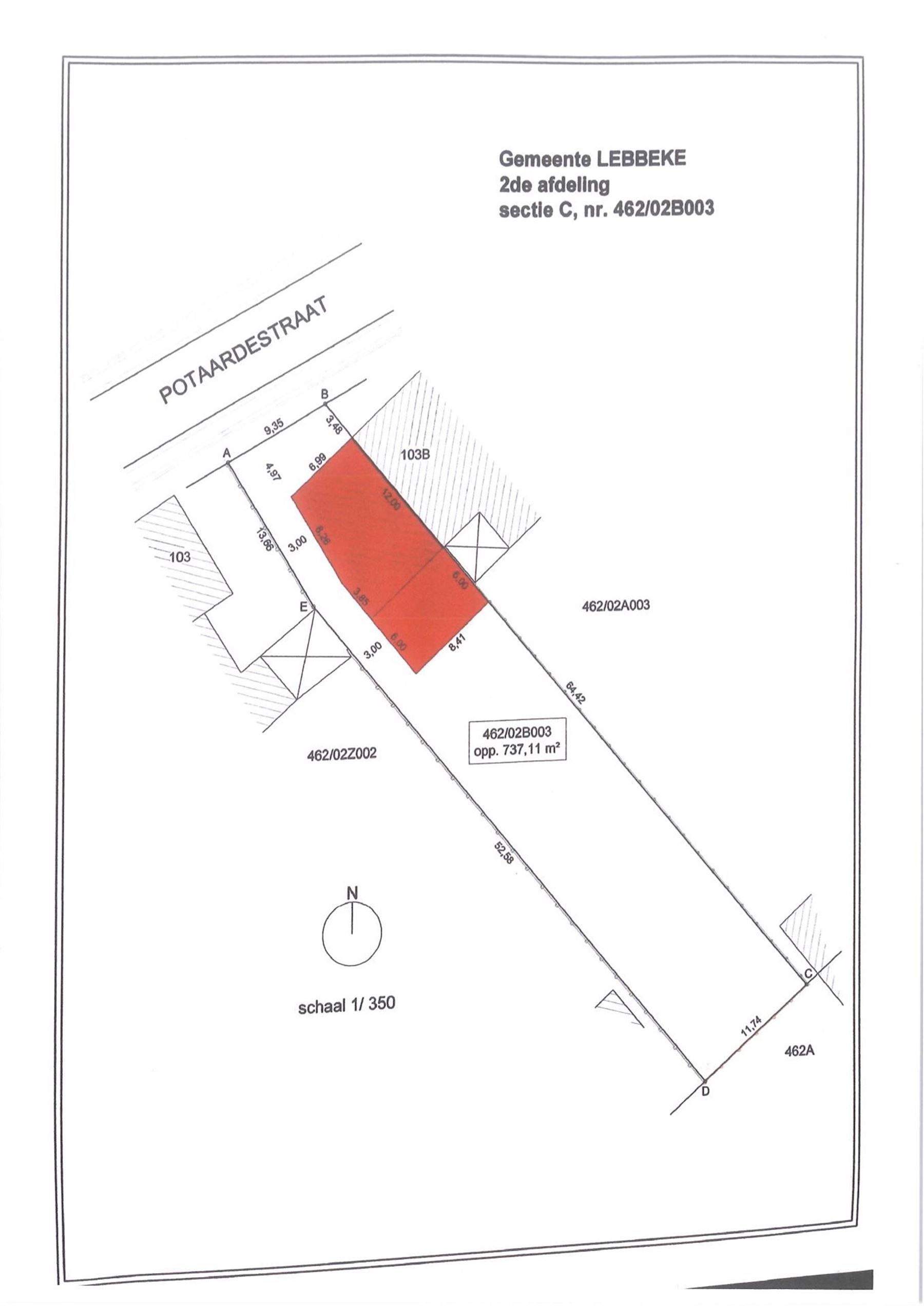
Bent u op zoek naar een bouwgrond voor een halfopen bebouwing? Dit perceel van 7a 2ca ligt op een aangename locatie tussen het centrum van Opstal en Lebbeke. De zuidoost gerichte tuin biedt een schitterend uitzicht over de omliggende velden, perfect voor wie graag in een groene en serene omgeving vertoeft.
Volgens de bouwvoorschriften kan u hier bouwen tot 18 meter diep op het gelijkvloers en 12 meter op de eerste verdieping.
Een mooie kans om uw droomwoning te realiseren op een plek waar rust en natuur hand in hand gaan, met alle voorzieningen binnen bereik.
Gebouw
Type pand
Grond
Subtype
Grond
Terrein
Perceeloppervlakte
702 m²
Breedte perceel
9,5 m
Diepte perceel
65 m
Energie
Keuringsattest elektriciteit
Nee
Locatie
POTAARDESTRAAT 103 A, 9280 Lebbeke157.000 EUR
Locatie
POTAARDESTRAAT 103 A
9280 Lebbeke
















