Grond te koop in Aalst
€ 182.000
Is dit haalbaar voor jou?Omschrijving
Bouwgrond geschikt voor halfopen bebouwing te Aalst!
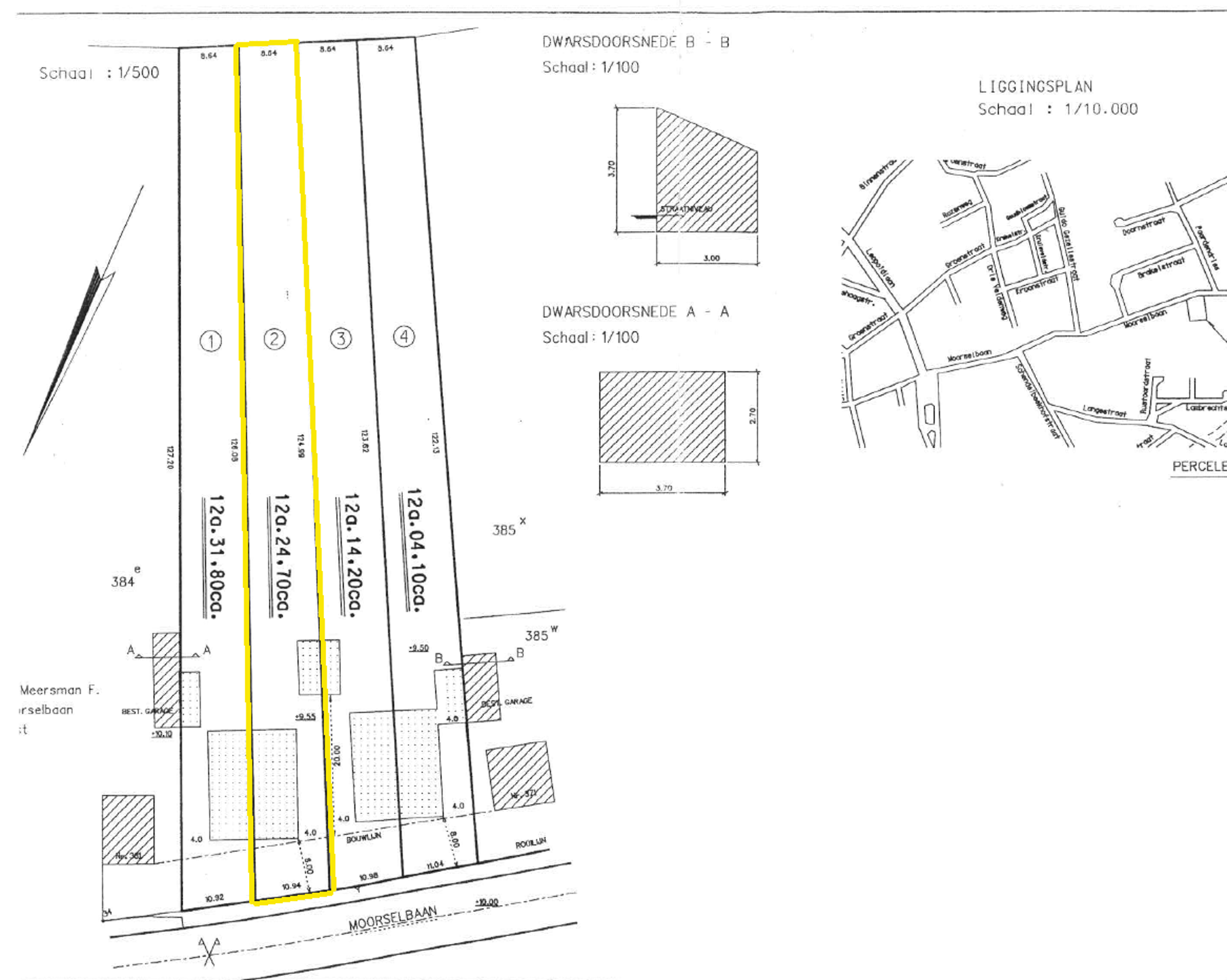
Dit perceel, gelegen in een goedgekeurde verkaveling, heeft een oppervlakte van zo'n 1198 m² en is geschikt voor het creëren van een halfopen woning. De bouwdiepte bedraagt 18 meter op het gelijkvloers en 12 meter op de verdieping, rekening houdend met zijdelingse bouwvrije strook van 4 meter. Garage/bijgebouw van max. 40m² is mogelijk.
Volgende voorschriften zijn o.a. van toepassing: max. 1 verdieping toegestaan, voorzien van een zadel- of schilddak met helling van 45°, maximale kroonlijsthoogte bedraagt 6 meter en tuinhuis is toegestaan. Meer info omtrent de bouwmogelijkheden te verkrijgen op kantoor.
Deze grond bestaat uit 2 perceelnummers; de grond vooraan is gelegen in woongebied met perceelscore A (geen overstroming gemodelleerd) en de grond achteraan bevindt zich in parkgebied met perceelscore C (kleine kans op overstromingen).
Interesse? Neem contact op met Tijl via tijl@immotijl.be of bel 0477 44 86 11 voor meer informatie!
Volgende voorschriften zijn o.a. van toepassing: max. 1 verdieping toegestaan, voorzien van een zadel- of schilddak met helling van 45°, maximale kroonlijsthoogte bedraagt 6 meter en tuinhuis is toegestaan. Meer info omtrent de bouwmogelijkheden te verkrijgen op kantoor.
Deze grond bestaat uit 2 perceelnummers; de grond vooraan is gelegen in woongebied met perceelscore A (geen overstroming gemodelleerd) en de grond achteraan bevindt zich in parkgebied met perceelscore C (kleine kans op overstromingen).
Interesse? Neem contact op met Tijl via tijl@immotijl.be of bel 0477 44 86 11 voor meer informatie!
Financieel
Verkoop onder btw-stelsel
Nee
Kadastraal inkomen
12 €
Kadasteroppervlakte
1.198 m²
Gebouw
Type pand
Grond
Subtype
Bouwgrond
Terrein
Perceeloppervlakte
1.198 m²
Meest recente bestemming terrein
Woongebied
Diepte perceel
124 m
Ligging
Omgeving / buurt
Stadsrand; Centraal
Openbaar vervoer nabij
Ja
Autosnelweg nabij
Ja
Ruimtelijke ordening
Dagvaarding
Nee
Vonnissen
Nee
Bouwvergunning
Nee
Locatie
Moorselbaan 377, 9300 Aalst182.000 EUR
Locatie
Moorselbaan 377
9300 Aalst
Is dit haalbaar voor jou?
Minimale eigen inbreng
-EUR
Maandlast
-EUR/maand
Liever een voorstel op maat?
Vertel meer over je project en je persoonlijke situatie en KBC berekent je persoonlijke rentevoet. Je ontvangt onmiddellijk feedback of je lening haalbaar is en je kunt je aanvraag volledig digitaal afronden. Zelfs als je geen KBC-klant bent.














