Grond te koop in Lierde met 3 slaapkamers
Omschrijving
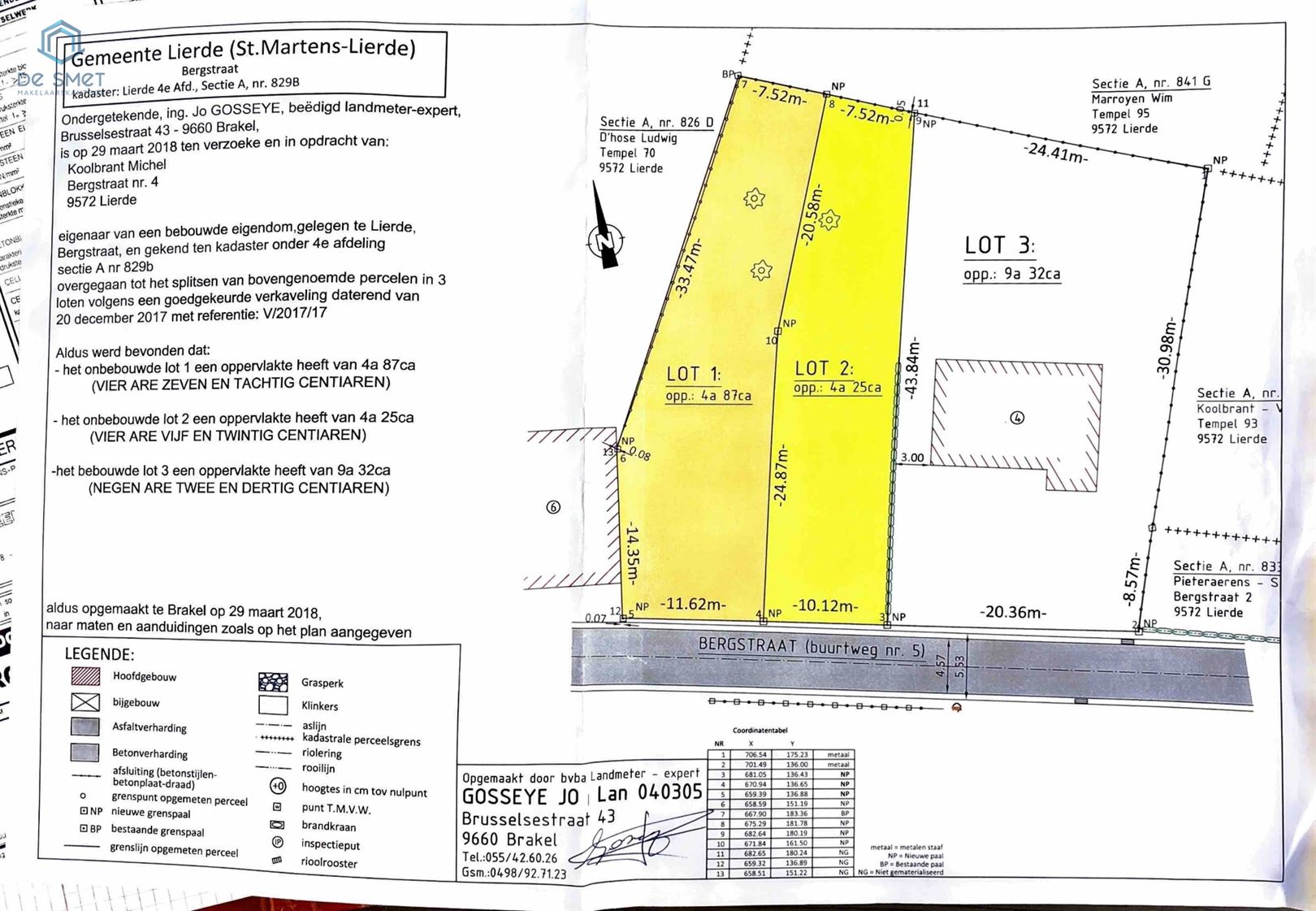
BOUWGROND MET VERGUNNING EN PLANNEN TE KOOP TE LIERDE.
BOUWGROND MET VERGUNNING EN PLANNEN TE KOOP TE LIERDE.
Bouwgrond voor halfopen bebouwing te koop in een rustige zijstraat te Lierde.
Aankoop incl volgende documenten:
- Architect plan + bouwvergunning
- Grondsondering
- Ingenieurstudie
- Grondwerken plateau reeds gegoten voorzien van riolering onder de plateau
- Wapening en beton voor funderingsplaat.
- Vernieuwing van de bouwvergunning aanwezig.
Zonder bouwverplichting.
Voor inlichtingen of bezoek gelieve op de advertentie te reageren, wij bellen u zelf op om een afspraak vast te leggen.
Financieel
Gebouw
Terrein
Ligging
Indeling
Energie
Ruimtelijke ordening
Locatie
Bergstraat 6 B lot 1, 9572 Lierde135.000 EUR
Locatie
Bergstraat 6 B lot 1
9572 Lierde
Is dit haalbaar voor jou?
Liever een voorstel op maat?
Vertel meer over je project en je persoonlijke situatie en KBC berekent je persoonlijke rentevoet. Je ontvangt onmiddellijk feedback of je lening haalbaar is en je kunt je aanvraag volledig digitaal afronden. Zelfs als je geen KBC-klant bent.








