Omschrijving
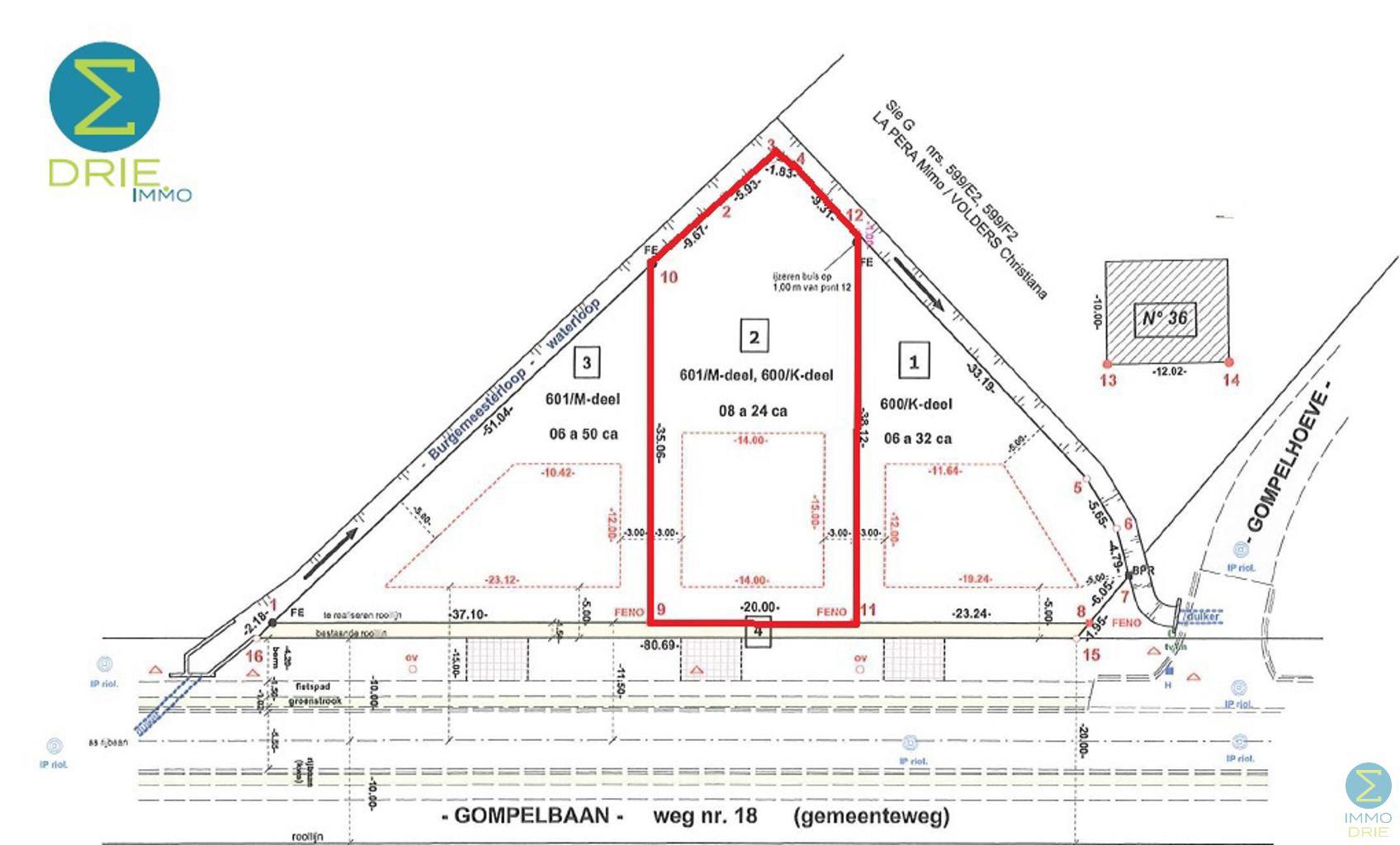
Dit perceel bouwgrond, gelegen aan de Gompelbaan in Mol, van 824m² biedt de mogelijkheid om een vrijstaande woning te bouwen met tuin georiënteerd op het zuiden. Achteraan het perceel bevindt zich een waterloop en zicht op groen.
Centrale ligging nabij station en centrum.
Algemeen:
* Grondoppervlakte: 824m²
* Straatbreedte: 20m
* 210m² bebouwbare oppervlakte
* Zuid georiënteerd
* Geen bouwverplichting
Centrale ligging nabij station en centrum.
Algemeen:
* Grondoppervlakte: 824m²
* Straatbreedte: 20m
* 210m² bebouwbare oppervlakte
* Zuid georiënteerd
* Geen bouwverplichting
Gebouw
Type pand
Grond
Subtype
Bouwgrond
Terrein
Perceeloppervlakte
824 m²
Diepte perceel
35 m
Ligging
Omgeving / buurt
Stadsrand
Ruimtelijke ordening
Verkavelingsvergunning
Ja
Bodemattest
Ja
P(erceel)-score
D (middelgrote overstromingskans onder huidig klimaat)
168.000 EUR
Locatie
2400 Mol
Is dit haalbaar voor jou?
Minimale eigen inbreng
-EUR
Maandlast
-EUR/maand
Liever een voorstel op maat?
Vertel meer over je project en je persoonlijke situatie en KBC berekent je persoonlijke rentevoet. Je ontvangt onmiddellijk feedback of je lening haalbaar is en je kunt je aanvraag volledig digitaal afronden. Zelfs als je geen KBC-klant bent.















