Grond te koop in Kalmthout
€ 325.000
Is dit haalbaar voor jou?Omschrijving
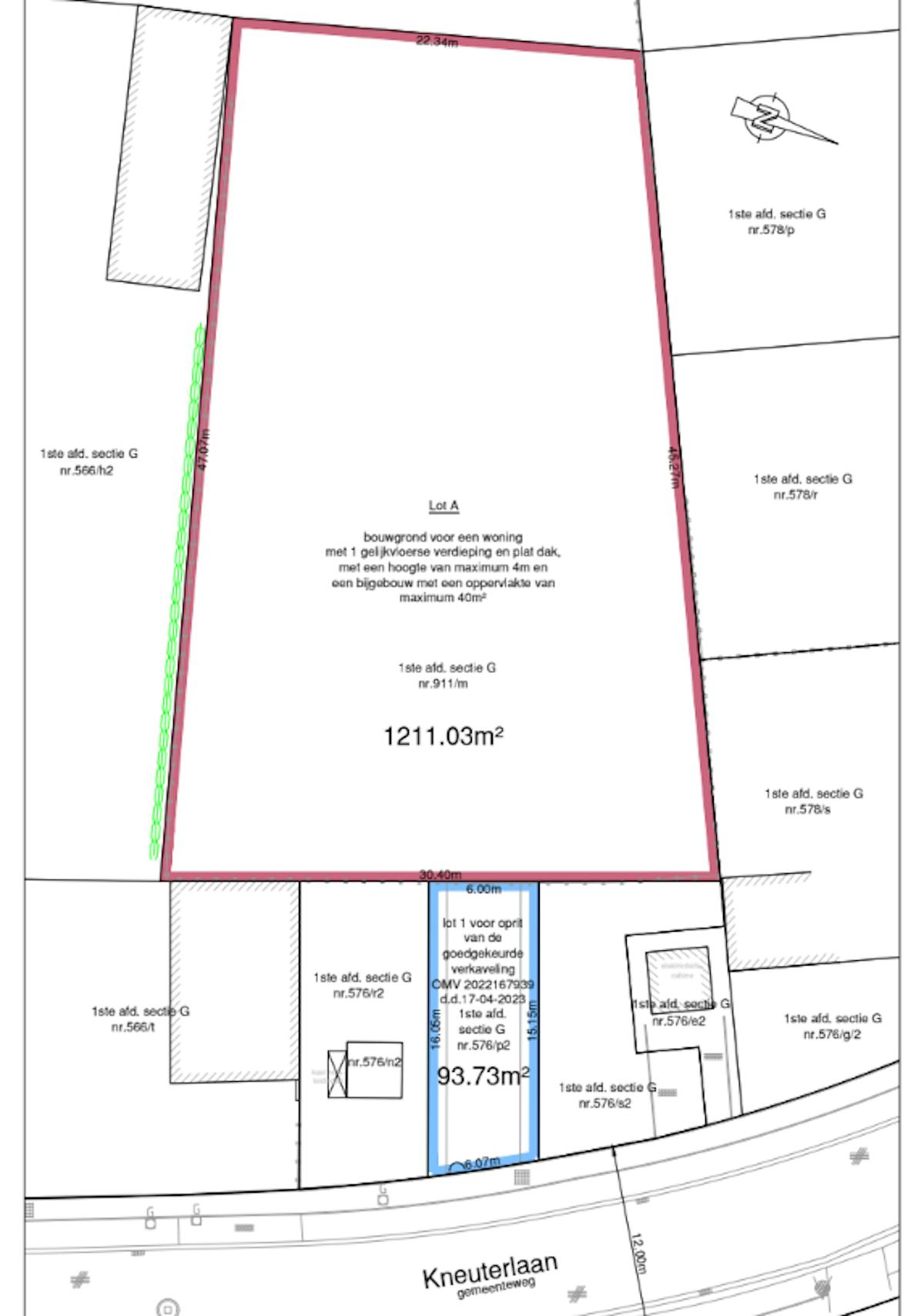
Bouwperceel voor open bebouwing te Kalmthout
Bouwperceel voor open bebouwing - ca. 1.305m²Stedenbouwkundig attest voor een gelijkvloerse woning met plat dak(15m breed, 17m diep), bijgebouw max 40m²!Verder info via ons kantoor!
Gebouw
Type pand
Grond
Bouwjaar
0
Terrein
Perceeloppervlakte
1.305 m²
Meest recente bestemming terrein
Woongebied
Indeling
Aantal slaapkamers
0
Aantal badkamers
0
Aantal toiletten
0
Ruimtelijke ordening
Bouwvergunning
Ja
Voorkooprecht
Nee
P(erceel)-score
A (geen overstroming gemodelleerd)
Locatie
Kneuterlaan, 2920 Kalmthout325.000 EUR
Locatie
Kneuterlaan
2920 Kalmthout
Is dit haalbaar voor jou?
Minimale eigen inbreng
-EUR
Maandlast
-EUR/maand
Liever een voorstel op maat?
Vertel meer over je project en je persoonlijke situatie en KBC berekent je persoonlijke rentevoet. Je ontvangt onmiddellijk feedback of je lening haalbaar is en je kunt je aanvraag volledig digitaal afronden. Zelfs als je geen KBC-klant bent.















