Grond te koop in Tongeren
€ 99.000
Is dit haalbaar voor jou?Omschrijving
Bouwgrond voor halfopen bebouwing met achterliggend weideland – Rustig gelegen in Tongeren-Borgloon (Nerem)
Op een rustige en landelijke locatie in de Neremstraat bevindt zich deze aantrekkelijke bouwgrond voor halfopen bebouwing, met een extra perceel weideland achteraan. Een ideale plek voor wie houdt van ruimte, natuur en privacy.
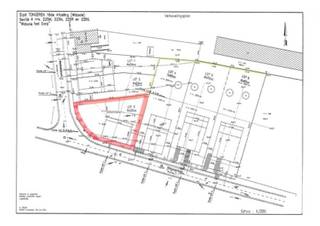
Kenmerken:
Bouwgrond (lot 4A): 6a62ca
Agrarische grond (lot 4B): 3a39ca
De bouwvoorschriften en het verkavelingsplan zijn beschikbaar op aanvraag.
De plannen kunnen worden ingezien op kantoor.
Bijkomend zijn er reeds bouwplannen van de eigenaar aanwezig, die vrijblijvend gebruikt mogen worden.
Voor meer info of het maken van een afspraak kan u steeds contact opnemen met Niels op het nr: 0473 39 44 39
Kenmerken:
Bouwgrond (lot 4A): 6a62ca
Agrarische grond (lot 4B): 3a39ca
De bouwvoorschriften en het verkavelingsplan zijn beschikbaar op aanvraag.
De plannen kunnen worden ingezien op kantoor.
Bijkomend zijn er reeds bouwplannen van de eigenaar aanwezig, die vrijblijvend gebruikt mogen worden.
Voor meer info of het maken van een afspraak kan u steeds contact opnemen met Niels op het nr: 0473 39 44 39
Financieel
Kadastraal inkomen
10 €
Gebouw
Type pand
Grond
Subtype
Bouwgrond
Nieuw gebouw
Nee
Terrein
Perceeloppervlakte
1.001 m²
Meest recente bestemming terrein
Woongebied met landelijk karakter
Oriëntatie tuin
Noordwest
Indeling
Aantal slaapkamers
0
Aantal badkamers
0
Aantal toiletten
0
Comfort
Lift
Nee
Energie
E-peil
0
Keuringsattest elektriciteit
Ja, niet conform
Ruimtelijke ordening
Verkavelingsvergunning
Ja
Voorkooprecht
Nee
G(ebouw)-score
A (geen overstroming gemodelleerd)
Locatie
Neremstraat 26, 3700 Tongeren99.000 EUR
Locatie
Neremstraat 26
3700 Tongeren












